| 2008/12/07 静岡県 Takさん | 2008/12/07 外房 おじさん | |||
![]() |
![]() |
|||
| 手が凍傷になるくらいの寒さの中、なんとか一枚ゲットしました。 | 前回に続き連続ゲットで夢のようです。 | |||
|
|
||||
| 2008/12/07 静岡県 BIOさん | 2008/12/07 静岡県 グースさん | |||
![]() |
![]() |
|||
| 8月末から25枚目。年内30枚を目指します。 | 寒すぎでギリヒラメサイズ | |||
|
|
||||
| 2008/12/07 南房 たっつぁん | 2008/12/06 静岡県 kurodai7さん | |||
![]() |
![]() |
|||
| かなり厳しい状況での1尾なだけにうれしさ倍増です。 | 強風の中を頑張りました | |||
|
|
||||
| 2008/11/09 茨城県北 yamaさん | 2008/12/09 静岡県 水谷さん | |||
![]() |
![]() |
|||
| ちょっと時間が経ちましたが、データ蓄積のために報告します。 | 一ヶ月ぶりのヒットでめちゃくちゃ嬉しいです。 | |||
|
|
||||
| 2008/11/10 高知県 ヒラスズメさん | 2008/12/12 島根県 OKUさん | |||
![]() |
![]() |
|||
| 河口から上流約3kmの地点でのヒットです。捕食音(変に不規則なので捕食失敗音か?)が聞こえた場所に投げたらドンピシャでした。 | 初投稿です。島根からは初報告でしょうか?次はもっといいサイズを報告したいと思います。 | |||
|
|
||||
| 2008/12/13 静岡県 みんよんさん | 2008/12/13 湘南 A-1さん | |||
![]() |
![]() |
|||
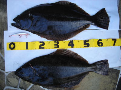
| 1日の中で60upが2枚も釣れて・・・驚きです! | 今シーズンの湘南第1号になれたかな?赤い物が無かったのでアカキンの背中で(笑) |
|||
|
|
||||
| 2008/12/01 南房 いちくん | 2008/12/15 愛知県 外道会Oさん | |||
![]() |
![]() |
|||
| 流れのあるとこと、ないとこの境目でガツンときました | 寒い朝のうれしい一枚でした | |||
|
|
||||
| 2008/12/16 湘南 A−1さん | 2008/12/16 宮崎県 レビ男さん | |||
![]() |
![]() |
|||
| 初連釣です。2枚目は第1投で来ました。 | 2ヶ月ぶりに釣れました | |||
|
|
||||
| 2008/12/16 湘南 黒オデさん | 2008/12/19 茨城県北 sidewalkさん | |||
![]() |
![]() |
|||
| 2度目の釣行できました。いつもはシーバス。 | #3フックが伸び加減の大物でメッチャ重かったです。初級者の私には3m手前だったので何とかランディングできました。諸先輩方を差し置いて恐縮ですが、本年の『釣ったゾ!』投稿の茨城レコードのようで非常にびっくりしてます。本年最後かもしれませんので、皆様良いお年を・・・ | |||
|
|
||||
| 2008/12/19 静岡県 ランバ・ラルさん | 2008/12/20 静岡県 グースさん | |||
![]() |
![]() |
|||
| 1ヶ月ぶりのヒラメです。 | 寒かった | |||
|
|
||||
| 2008/12/20 鹿児島県 saiさん | 2008/12/21 静岡県 苦節15年さん | |||
![]() |
![]() |
|||
| たけさ〜んお元気ですか?私も続きます。カケアガリで居食いしたようでした。 | 「コットンキャンディーは釣れます!」って記事読んで初めて使ってみたんですけど、二言は無かったですね。 | |||
|
|
||||
| 2008/12/24 静岡県 ランバ・ラルさん | 2008/12/25 外房 ヒラスズメさん | |||
![]() |
![]() |
|||
| サンタからのプレゼントかな?イヴヒラメは自己記録更新です。写真またダメかもしれませんががんばってみます。 | ほぼ同じ場所で別に双子の兄弟を(同サイズ)を釣りました。そろそろサイズアップしたいですね... | |||
|
|
||||
| 2008/12/27 鹿児島県 saiさん | 2008/12/28 静岡県 デカメロンさん | |||
![]() |
![]() |
|||
| ヒラリミは私に合ったルアーだと思いました。 | 久々の投稿!鼻水垂らして行って良かった〜!休み初日!なんとか40cm | |||
|
|
||||
| 2008/12/20 静岡県 kozoさん | 2008/12/27 鹿児島県 たけさん | |||
![]() |
![]() |
|||
| やっとソゲ地獄から脱出しました | 日没直後の一枚。最後まであきらめずキャストし続けた甲斐がありました。2年ぶりの鹿児島サーフはやっぱり最高でした。 | |||
|
|
||||
| 2008/12/28 外房 種吉さん | 2008/12/28 外房 塩人さん | |||
![]() |
![]() |
|||
| 立ち位置から10メートルくらいで食ってきました。 | 今年釣った3枚はすべてHeavySurferです。 | |||
|
|
||||
| 2008/12/30 静岡県 ウッチーさん | 2008/12/31 鹿児島県 saiさん | |||
![]() |
![]() |
|||
| 今年最後の一枚です。 | サーフは荒れて他魚ばかり。時合と思われるころ港に移動し釣ることができました。 | |||
|
|
||||
| 2008/12/29 南房 たっつぁん | 2008/12/31 宮崎県 レビ男さん | |||
![]() |
![]() |
|||
| アカキンにかえて3投目できました | 今年の最後に60upいい年でした | |||
|
|
||||